UK Cemetery & Graveyard Plans

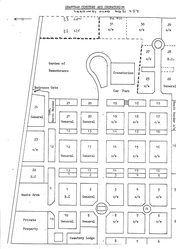
Grantham Cemetery
Harrowby Road,
Grantham NG31 9DT
Lincolnshire
GPS Location - N52°54'36.04" W0°37'58.91

Grantham Cemetery Plan

Dignity Funeral Care
with tel. and email addresses
The above link will take you out of this site -
use your browser *Back* button to return

 

UK Cemetery Plans index

Home - UK Churches

Top Of Page

Last Updated on 21/03/2015
"Copyright 2002 to Present By Martin Baird" All rights reserved